2025年6月25日

地域のぶどう農家のAさんから「ぶどうを見においで」とお誘いいただきました。
東部保育園の年長児は、7~8年前からぶどう農家の方と交流しているのです。
みんな、ワクワク!!!
ぶどう園に到着!「みんなよく来たね。今ちょうどぶどうの花が咲いているところだよ」とAさん。
「どれどれ?」みんな興味津々。

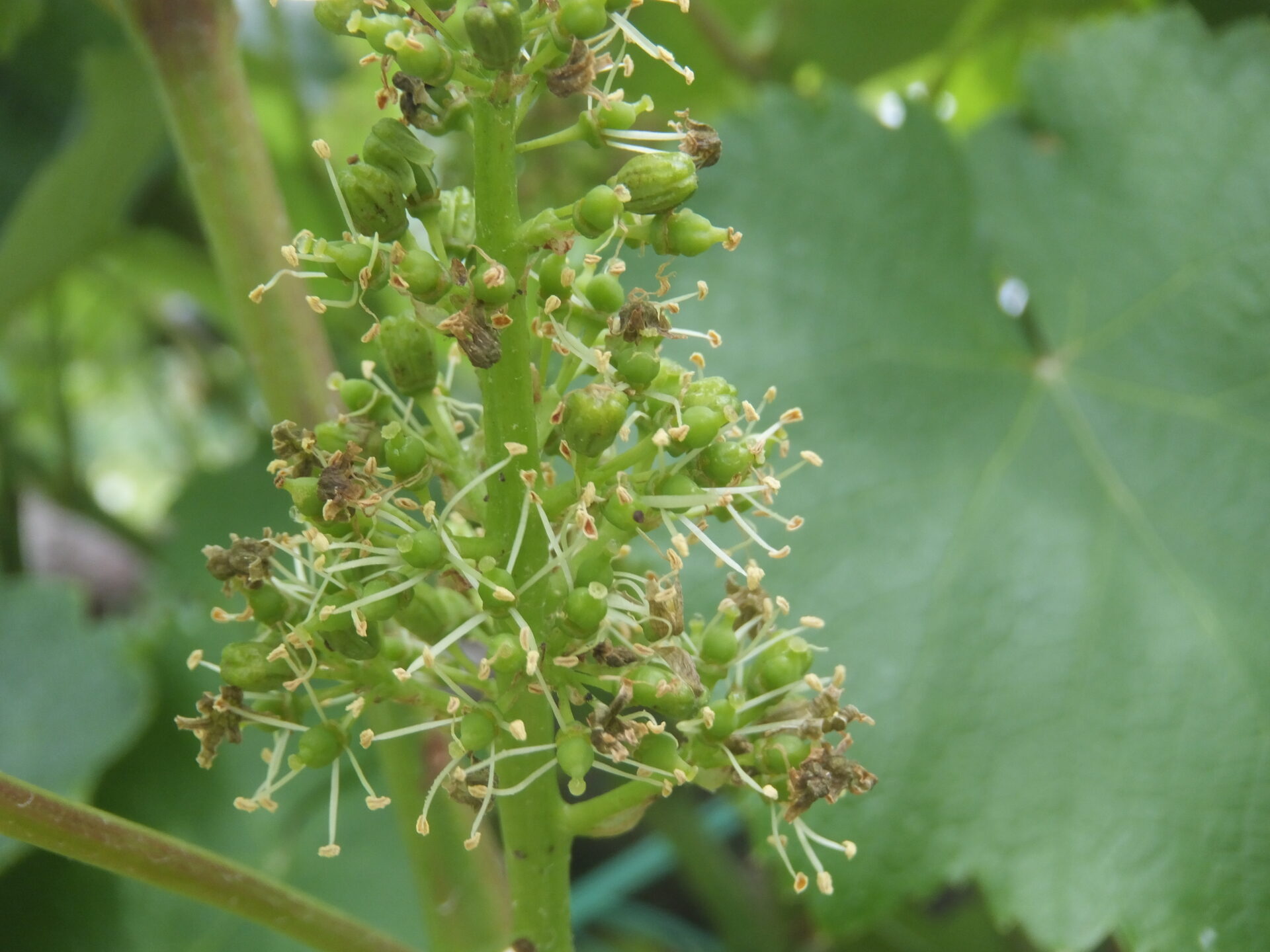
この黄色いのがぶどうの花らしいです。小さくて見えにくいから、拡大してみました。
そして今回は、ぶどうの実を減らす作業(房切りというらしいです)を見せてもらいました。
たくさん実がついている状態。
余分な粒を取り除きます。
ぶどうの房が減りました。
心境はいかに!?『え~捨てちゃうの?』『食べたいなあ~』かな。
「ぶどう欲しいな~」とつぶやく子ども達。
「薬がついているから持って帰れないんだ。」とAさん。
残念がる子ども達に・・・ぶどうの葉っぱをくださいました。
帽子かな?
くんくん・・・どんなにおいがするの?
たくさん集めるお友達もいました。
ひととおり見せていただくと・・・「ねえねえ、ここで遊びたい!」と子ども達。
「いいよ。ただし、支柱にぶつからないように気をつけてね」とAさんに言ってもらい、みんな大喜び!
「ねえ、鬼ごっこしよう!」あっという間に、遠くに行っちゃいました。
「楽しい!」「ずっとここにいたいな」なんてつぶやきがちらほら・・・。
ぶどう棚の下は、広くてひんやり心地良かったです。
この下でおにぎりを食べたらおいしいだろうな~なんて保育士は考えてしまいました。
すると、Aさんが木の皮をむいている姿に気付いた子ども達。
「何をしているの?」
「ぶどうの皮に虫がつくから、木の皮をむいているんだよ」とAさん。
「やってみたーい!!!」
みんな皮むきに真剣です。
「ありがとう、助かるな。バイト代払わないといけないね。」Aさんはニコニコ。
役に立てて、子ども達は誇らしげです。だってお手伝いが大好きですから。
「これ持って帰る」とぶどうの皮を張り切って抱えるBさん。
保育園に戻ると、ドジョウのおうちを素敵な感じに飾ってくれました。
十日後・・・「ぶどうの実が大きくなってきたよ。見においで」とAさんからお誘いいただきました。この日は雨。カッパを着て出かけました。
「わー!ぶどうが大きくなってる!」子ども達は大喜び!
口に入れないことを約束して、今日はぶどうを触らせてもらいました。
何粒ついているか真剣に数えるCちゃん。「う~ん。難しいなあ。」
「このぶどう、固いよ?」と不思議そうなDちゃん。
割ってみると・・・「中から何か出てきたー」
Fちゃんは袋にぶどうの実を入れてもみもみ・・・「Aさん、におい嗅いでみてー!」
「どれどれ~?においを嗅いだことなんてなかったな~。みんな色んなことを
考えるね」Aさんはびっくり。
みんなでにおいを嗅いでみました。「もうぶどうのにおいがするよー!」と、びっくり!
摘粒の作業も体験させてくださいました。「難しいなあ」「首が痛ーい!」
ぶどう農家の方は大変ですね。
次は、ぶどうの袋かけを体験させていただく予定です。楽しみです!

・ぶどうの花って小さいね。
・葉っぱもぶどうのにおいがするよ
・ぶどうの皮をむくのが楽しかった
・ぶどう畑って広いよ。いっぱい遊べるよ。
・ぶどうの実をお店に出せるようにするために、実を減らすんだよ。実を減らすお仕事は大変だなあ
・小さい実も、ぶどうのにおいがしたよ
ぶどうを見て、触って、においをかいで、五感で楽しむ姿がたくさん見られました。
ぶどう農家の方との会話も楽しい様子です。交流を楽しみながら、ぶどうの生長を観察していきたいです。
| 園の形態 | 普及型 |
|---|---|
| 代表者氏名 | 園長 : 近藤 恵美 |
| 運営法人 | 長野市 |
| 運営法人代表者名 | 長野市長 |
| 園の設立日 | 1971.4.1 |
| 認定日 | 2019.9.13 |
| 区分 | 保育所 |
| 住所 | 〒388‐8002 長野市篠ノ井東福寺745 |
| エリア | 北信 |
| お問い合わせ先 |
TEL : 026‐293‐0944 FAX : 026‐293‐0944 |
| 定員数 | 未満児 : 27人 3歳児 : 17人 4歳児 : 26人 5歳児 : 30人 6歳(学童)以上 : 人 |
| 基本開所曜日 | 月、火、水、木、金、土 |
| 基本開所時間 | 7時30分~18時30分 |
| 延長保育の有無 | 要問合せ |
| 園児募集 | 要問合せ |
| 保育者募集 | 要問合せ |